| 天人地 |
2021-02-13 09:05 |
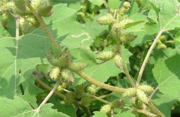
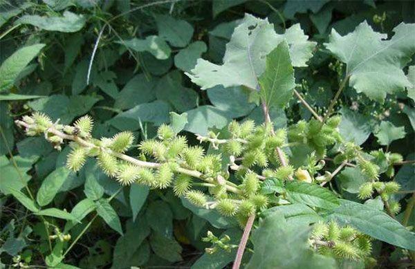
苍耳子
别名 : 苍子,老苍子,胡苍子
性能功效:风湿骨痛,走路慢吞吞?农村野草让你健步如飞,体格倍棒 !性温,味辛,苦,有小毒。归肺经。通鼻窍,止痒,散风去湿。

用法用量: 煎汤,或入丸,散。6~9克。
功效主治: 用于风湿,鼻渊流涕,风疹头同等。

用药禁忌
1、虚性头痛,痹痛禁服。
2、苍耳幼苗有巨毒,禁服。

食疗养生
1、苍耳炒鸡蛋 (散风止痛)
配方:鸡蛋3个,苍耳子10克,盐适量。
做法及步骤 : 将苍耳子研成粉末,于打散的鸡蛋液搅拌。油锅烧热,倒入苍耳子末与鸡蛋液,煎至鸡蛋热,加盐和少量清水,煮沸即可。每日一次,趁热服用,连服三日,三日为一个疗程。

2、苍耳子辛夷花芥菜汤(利水消暑)
组成 : 芥菜500克,苍耳子,辛夷花各20克,蜜枣15克,姜3克,盐适量。
做法及用法: 苍耳子,辛夷花用清水洗净,放在干净的纱布袋内 ;芥菜用清水洗净,去根须,切块;姜,切块;蜜枣洗净,备用。将苍耳子,辛夷花,芥菜块,姜片,蜜枣放入已经煲滚的水中,继续煲45分钟,用盐调味即可。

|
|